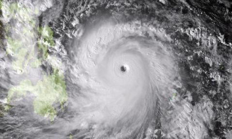
Behind today’s advent calendar window is a message of good will from the Zooniverse and the Cyclone Center project. We wanted to give you a varied list of ways in which you can help those affected by super-typhoon Haiyan. To view them, visit the Cyclone Center blog post here http://blog.cyclonecenter.org/2013/12/04/cyclones-for-christmas/
You can of course also help researchers understand these powerful and destructive phenomena by classifying some cyclone data on http://www.cyclonecenter.org/
This festive season the thoughts of everyone at the Zooniverse and Cyclone Center go out to those who’s lives were touched by this awful tragedy.

